
Левая колонка
Фильтр
Поделился фотографией
Поделился заметкой
9 комментариев
1 раз поделились
12 классов
поделился публикацией
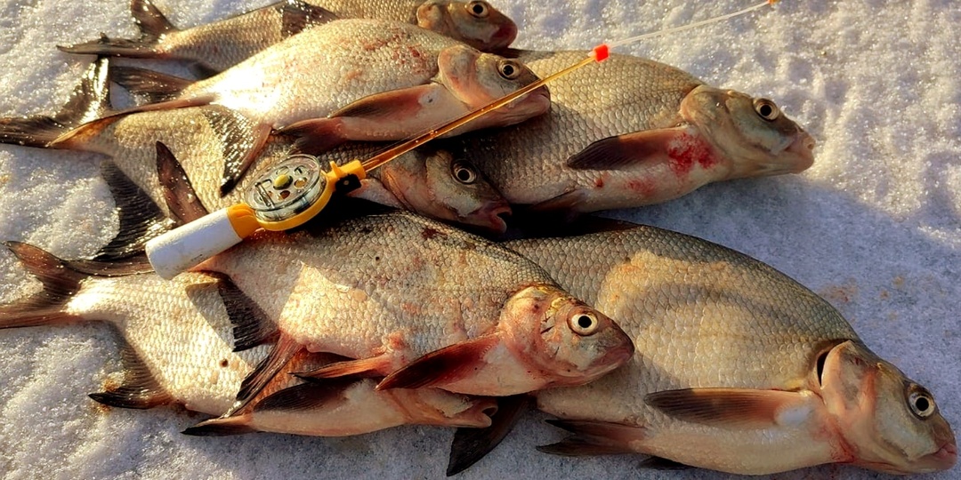
Как ловить леща на мормышку. Лещ клюёт на пучок: 3 ошибки в игре мормышкой зимой
Где бурить, как подобрать мормышку и почему рыба не боится массового закорма. Зимняя ловля леща на мормышку — это своего рода детектив. Если вы не нашли рыбу, вы обречены на пустое ожидание. Я понял: недостаточно просто прийти на водоём. Нужно найти ту самую «чудесную лунку». Именно с неё ловится больше, чем со всех остальных, вместе взятых. Я расскажу, как её найти, и поделюсь секретами, которые позволили мне добиться неплохих результатов на рыбалке. Лещ не клюёт там, где попало. Он любит определённые глубины и простор. Мормышка — это приманка, но и она должна быть правильно подобрана, чтобы соответствовать запросам крупной рыбы. Лещ — рыба степенная, и его игра должна быть медленной и заманчивой. Бывает, что современные эхолоты показывают рыбу прямо под лункой, но она не клюёт. Что делать? Будьте последовательны на рыбалке, и хорошие уловы придут. А вы часто сталкивались с тем, что рыба есть под лункой, но не клюёт? Поделитесь своими способами "расшевелить" леща в комментариях!
Показать еще
1 комментарий
5 раз поделились
92 класса
- Класс
- Класс
На этом пока всё
Войдите в ОК, чтобы посмотреть всю ленту
365
- Татьяна СвистунАркалык
- ღღღ Светлана Юрьевна ღღღг. Комсомольск-на-Амуре (Хабаровский край)
- ольга Бунинапоселок увельский
2
- Правительство Челябинской области45906 подписчиков
- Открытки для друзей81849 подписчиков

